Foto's 28

Leeuwerikweg 0ong 5425 RW De Mortel

Prijs op aanvraag

Omschrijving

WONEN ÉN WERKEN IN DE MORTEL OP EIGEN TERREIN?
DIT IS JE KANS!

Op deze prachtige locatie in De Mortel worden deze twee bouwkavels voor verkoop aangeboden.
De kavels bieden mogelijkheden voor de bouw van een vrijstaande bedrijfswoning met bijgebouw en een riante bedrijfsruimte.

Op de foto is een indicatie van het plan weergegeven.
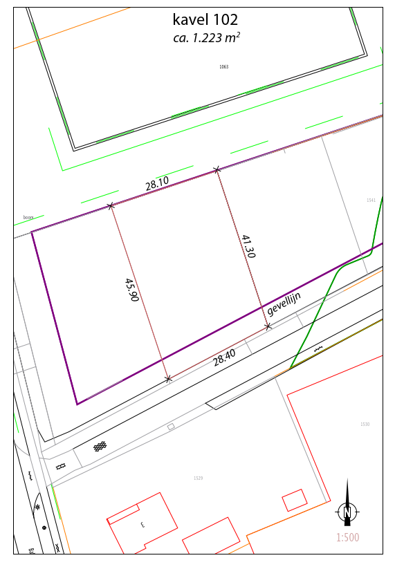
OPPERVLAKTE KAVELS:
Kavel 101: circa 1.458m²
Kavel 102: circa 1.223m²
Kavel 103: circa 1.083m²
Kavel 109: circa 3.633m²

De nummers zijn de weergave op de illustratie. De kavelpaspoorten zijn op aanvraag beschikbaar. Eventueel is een kleine wijziging in de verdeling onder voorbehoud mogelijk. Een gedeelte van de kavels dient kadastraal gesplitst te worden, waardoor de oppervlakten altijd indicatief worden aangegeven.

KADASTRALE GEGEVENS:
Gemeente: Gemert
Sectie: G
Nummers: 1558, 1559, 1541 (gedeeltelijk), 1455 en 1581.

BESTEMMINGSPLAN:
Ter plaatse geldt het bestemmingsplan “De Mortel Zuidrand”.
Het perceel heeft hierin de bestemming “Gemengd – 1”.

Binnen deze bestemming is toegestaan:
– Bedrijfswoningen in combinatie met industriële bedrijven, ambachtelijke bedrijven of dienstverlening, waarbij geldt dat:
– Ondergeschikte detailhandel voortkomende vanuit bovenstaande functies;
– Één bedrijfswoning per bouwperceel (maximaal 750m³);
– Bebouwingspercentage bouwperceel maximaal 50%;
– Bijgebouw bij bedrijfswoning maximaal 80m².

Aan deze informatie kunnen geen rechten worden ontleend. Voor meer informatie wordt verwezen naar www.omgevingsloket.nl of neem contact op met ons kantoor voor meer informatie. De illustratie is een weergave

BIJZONDERHEDEN:
– Er wordt een nieuwe weg gerealiseerd door alle eigenaren in de straat, verkoper zal dit realiseren voor zijn kosten. Aanvang werkzaamheden nog niet bekend, doch naar verwachting in 2025.

KOOPGEGEVENS:
VRAAGPRIJS:
Kavel 101: € 315.000,= excl. BTW.
Kavel 102: VERKOCHT.
Kavel 103: € 265.000,= excl. BTW.
Kavel 109: € 550.000,= excl. BTW.

OMZETBELASTING:
Van toepassing (21%).

OVERDRACHTSBELASTING:
Niet van toepassing.

ZEKERHEIDSSTELLING:
Bankgarantie ter grootte van 10% van de koopsom.

Adriaan van den Heuvel
Interesse?

Voor meer informatie of het plannen van een bezichtiging helpt Richard je graag verder.

Heb je liever direct contact met Richard?
Delen

Kenmerken

Overdacht
Vraagprijs Prijs op aanvraag
Koopconditie Kosten koper
Status Beschikbaar
Aanvaarding In overleg
Bouw
Type Bouwgrond
Bouwtype Niet van toepassing
Kadastrale gegevens
Gemert G 1558
Oppervlakte 1.500 m²
Gemert G 1559
Oppervlakte 1.500 m²
Gemert G 1541
Oppervlakte 2.140 m²
Gemert g 1581
Oppervlakte 2.500 m²
Gemert G 1455
Oppervlakte 1.345 m²
Omgeving
Omgeving Landelijk gebied
Locatie
Adres Leeuwerikweg 0ong
Postcode 5425 RW
Plaats De Mortel
Provincie Noord-Brabant
Land Nederland

Bekijk alle BOG objecten in De Mortel

Bekijk aanbod

Op zoek naar het perfecte pand voor jouw onderneming of belegging?

Als ondernemer of belegger is het vinden van het juiste pand essentieel voor het succes van je bedrijf of investering. Of je nu een winkelruimte, kantoor, opslagruimte of een commercieel pand zoekt, wij helpen je graag bij elke stap.

Gratis zoekopdracht
Bedrijfspand-verhuren-wetten-en-regels